ताज़ा ख़बरें

जापान की ओर बढ़ रहा खतरनाक तूफान, तबाही की चेतावनी

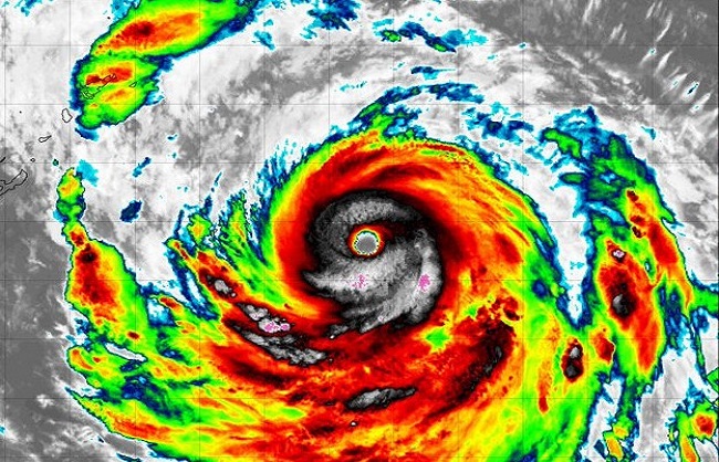
टोक्यो- 17 सितंबर। जापान की ओर खतरनाक तूफान नैनमाडोल टाइफून तेजी से बढ़ रहा है। जापान के मौसम विभाग ने इन तूफान के कारण भीषण तबाही की चेतावनी दी है।

जापान के मौसम विभाग ने अलर्ट जारी किया है कि बेहद खतरनाक नैनमाडोल टाइफून जापान के एक दूरस्थ द्वीप मिनामी डाइटो से करीब 270 किलोमीटर दूरी तक पहुंच चुका है। यह तूफान जापान के ओकीनावा द्वीप से लगभग 400 किलोमीटर दूरी पर है। मौसम विभाग ने रविवार को इस तूफान के जापान के समुद्री तट से टकराने की आशंका व्यक्त की है। चेतावनी दी गयी है इस तूफान की वजह से बड़ी संख्या में घर तबाह हो सकते हैं। तूफान के दौरान क्यूशू के दक्षिण कोगोशिमा क्षेत्र में तेज बारिश तो होगी ही, तेज हवाएं चलने के साथ कई जगहों पर भूस्खलन की घटनाएं भी सामने आ सकती हैं।

इस तूफान के आने की आहट से जापान सरकार ने सभी राहत एजेंसियों के साथ साथ सुरक्षा एजेंसियों को भी हाई अलर्ट पर कर दिया है। जापान के मौसम विभाग के प्रमुख रयूता कुरोरा ने बताया कि इस तूफान की वजह से ऊंची लहरें उठ सकती हैं और घनघोर बारिश की आशंका भी बनी हुई है। उन्होंने सभी लोगों से अधिक सुरक्षा सुनिश्चित करने और तूफान की चपेट में आने वाले संभावित क्षेत्रों को तुरंत खाली करने की बात भी कही। उन्होंने साफ कहा कि यह बेहद खतरनाक तूफान है, इसीलिए कोगोशिमा क्षेत्र में सर्वाधिक सतर्कता बरतने को कहा गया है।

Join WhatsApp Channel Join Now
Subscribe and Follow on YouTube Subscribe
Follow on Facebook Follow
Follow on Instagram Follow
Follow on X-twitter Follow
Follow on Pinterest Follow
Download from Google Play Store Download

Related Articles

Leave a Reply

Your email address will not be published. Required fields are marked *

Back to top button